Logo video2dn
  • Сохранить видео с ютуба
  • Категории
    • Музыка
    • Кино и Анимация
    • Автомобили
    • Животные
    • Спорт
    • Путешествия
    • Игры
    • Люди и Блоги
    • Юмор
    • Развлечения
    • Новости и Политика
    • Howto и Стиль
    • Diy своими руками
    • Образование
    • Наука и Технологии
    • Некоммерческие Организации
  • О сайте

Скачать или смотреть SuperTyphoon Rai (

  • SuperTyphoon Tracker
  • 2021-12-20
  • 3434
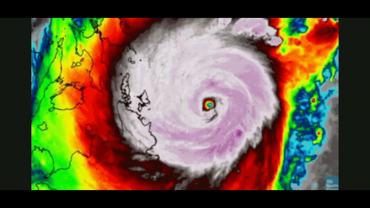
SuperTyphoon Rai (
  • ok logo

Скачать SuperTyphoon Rai ( бесплатно в качестве 4к (2к / 1080p)

У нас вы можете скачать бесплатно SuperTyphoon Rai ( или посмотреть видео с ютуба в максимальном доступном качестве.

Для скачивания выберите вариант из формы ниже:

  • Информация по загрузке:

Cкачать музыку SuperTyphoon Rai ( бесплатно в формате MP3:

Если иконки загрузки не отобразились, ПОЖАЛУЙСТА, НАЖМИТЕ ЗДЕСЬ или обновите страницу
Если у вас возникли трудности с загрузкой, пожалуйста, свяжитесь с нами по контактам, указанным в нижней части страницы.
Спасибо за использование сервиса video2dn.com

Описание к видео SuperTyphoon Rai (

Typhoon Rai, known in the Philippines as Typhoon Odette, was a catastrophic and powerful tropical cyclone that struck the Philippines. Rai became the first Category 5-equivalent super typhoon to develop in the month of December since Nock-ten in 2016, and the third Category 5 super typhoon recorded in the South China Sea, following Pamela in 1954 and Rammasun in 2014. The twenty-second tropical storm, the ninth typhoon, and the fifth super typhoon of the 2021 Pacific typhoon season, the system originated from a tropical disturbance near the equator on December 10, forming near the site of another low-pressure area that had dissipated on the previous day. Conditions around the system were favorable for further development, and it slowly developed into a tropical depression on December 12. On the same day, the United States Joint Typhoon Warning Center (JTWC) issued a Tropical Cyclone Formation Alert (TCFA) on the consolidating depression. Further intensification ensued, and Rai was upgraded to a tropical storm on the next day, before passing south of Ngulu Atoll. After passing near Palau and impacting the island nation, Rai entered the Philippine Area of Responsibility (PAR) by the night of December 14, where the PAGASA named it "Odette". On the next day, both the JMA and JTWC raised the system's intensity to a low-end Category 1-equivalent typhoon, as an eye continued to appear. While approaching the Philippines, Rai unexpectedly rapidly intensified into a Category 5 super typhoon just before its first landfall across Siargao. It then slowly but steadily weakened as it traversed Visayas, exiting into the Sulu Sea. After making its last landfall over Palawan, Rai continued to weaken before unexpectedly re-intensifying into a Category 5-equivalent typhoon by December 18, while nearing Vietnam. On the next day, Rai initiated yet another weakening phase.

#Odette
#Rai
#SuperTyphoon
#2021PacificTyphoonSeason
#subscribe

Комментарии

Информация по комментариям в разработке

Похожие видео

  • О нас
  • Контакты
  • Отказ от ответственности - Disclaimer
  • Условия использования сайта - TOS
  • Политика конфиденциальности

video2dn Copyright © 2023 - 2025

Контакты для правообладателей [email protected]